../online-bod.php?pand=3303&sva=SVA3645&city=geraardsbergen&street=trapstraat&nr=90&price=140000 GROND Te Koop, geraardsbergen | Vastgoed Svena
Samen zoeken wij voor u de juiste oplossing!
Klik hier voor een GRATIS waardebepaling van uw woning Klik hier
GROND Te Koop | geraardsbergen
trapstraat 90, 9500 geraardsbergen
GROND Te Koop
geraardsbergen
trapstraat 90
9500 geraardsbergen
prijs:
€ 140000
GROND VOOR HALFOPEN BEBOUWING MET MOOI UITZICHT
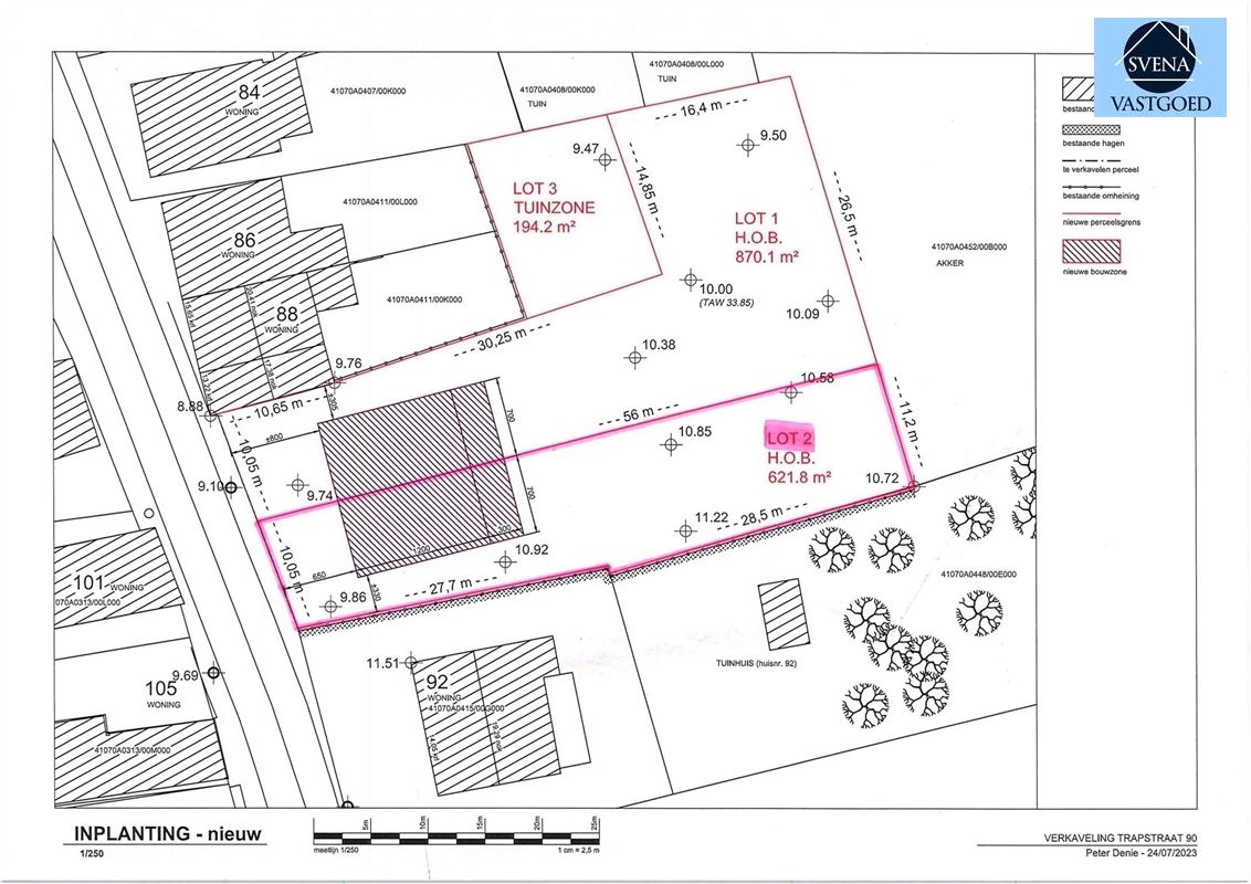
Vraagprijs : 140.000 euroZeer leuke en rustig gelegen grond (LOT 2) te Viane met een terrein oppervlakte van 622,82 m².Op de GELIJKVLOERSE VERDIEPING bedraagt de bouwdiepte max 15 m en op de VERDIEPING max. 12 m.De bouwbreedte bedraagt 7 m.Straatbreedte 10 m.Diepte perceel +- 56 m.Stedenbouwkundig uittreksel/inlichtingen in aanvraag!Stedenbouwkundige voorschriften te bekijken op kantoor.Voor info of bezoek bel 0475/51.40.73 of stuur een email naar info@svena.beDeze gegevens zijn louter informatief en wij kunnen niet aansprakelijk gesteld worden voor eventuele onjuistheden.De bewoonbare oppervlakte is slechts indicatief.  
Ref: OC3303
Gebouw & Terrein
 
Type BebouwingHalfopen
StaatNiet meegedeeld
DakNiet meegedeeld
Opp. Terrein m2622.82
 
 
 
Energie & Voorzieningen
 
Attest ElektroNog niet aangevraagd
 
 
Overige
 
BestemmingIn aanvraag
OverstromingsgevoeligheidNVT
Afgebakend overstromingsgebiedNee
Afgebakende oeverzoneNee
Overstromingsscore GebouwNVT
Overstromingsscore PerceelNVT
 
Gebouw & Terrein
 
Type BebouwingHalfopen
StaatNiet meegedeeld
DakNiet meegedeeld
Opp. Terrein m2622.82
 
Energie & Voorzieningen
 
Attest ElektroNog niet aangevraagd
 
Overige
 
BestemmingIn aanvraag
OverstromingsgevoeligheidNVT
Afgebakend overstromingsgebiedNee
Afgebakende oeverzoneNee
Overstromingsscore GebouwNVT
Overstromingsscore PerceelNVT